Udvikling by og land
Nyheder

Lokalsamfund får støtte til tre projekter
Landdistriktsudvalget har besluttet at give en økonomisk håndsrækning til en fornyelse af festpladsen i Havndal, ny legeplads i Mellerup og nye stenrev i Randers Fjord.

Forslag til ny arkitekturpolitik er i høring
Den kommende arkitekturpolitik skal være et aktivt og levende redskab for alle, der udvikler kommunen. Politikken er i høring fra den 3. september til den 29. oktober.

Trafiksikkerheden bliver forbedret flere steder
På mødet den 26. august 2024 har byrådet besluttet at afsætte midler til at forbedre trafiksikkerheden i alt 11 forskellige steder i Randers. Se hvor der kommer til at ske ændringer.

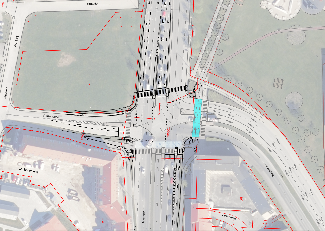
Ombygningen af krydset Grenåvej/Århusvej er i gang
Frem til udgangen af september vil der blive arbejdet med at ombygge krydset Grenåvej/Århusvej, så det bliver mere sikkert for lette trafikanter og vil afvikle trafikken bedre. Arbejdet er planlagt, så den del, der generer trafikken mest, bliver udført i sommerperioden.